4335 HULUIA RD NS # KAPAA HI 96746

KAPAA HOMESTEADS

0 bd
0 | ba
Sq ft: N/A
LOTS/LAND
0

Active$22500004335 HULUIA RD # KAPAA HI 96746

"*" indicates required fields

This field is hidden when viewing the form
This field is hidden when viewing the form

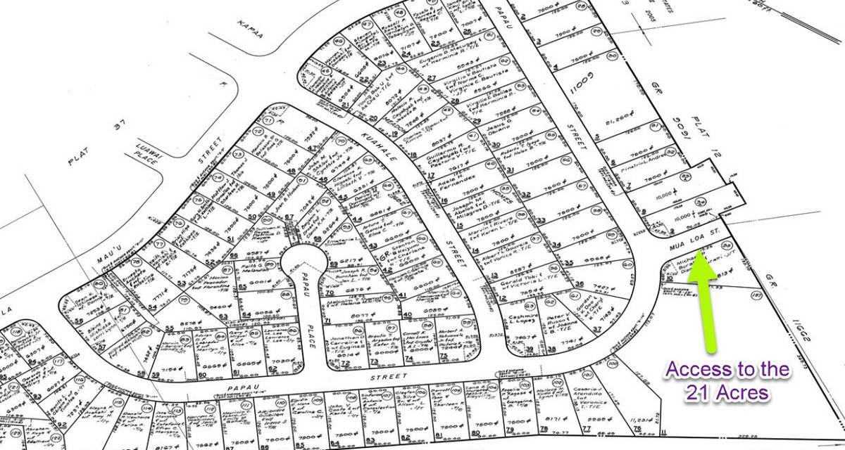
21.87 acres zoned agricultural. Qualifies for (at least) 5 homesites and one guest home with a kitchen. Two points of development access.
All information stated herein is although believed to be accurate must be confirmed with associated public, state & federal agencies by the Buyers and their representatives.

LOCATION INFORMATION

District: Kawaihau
Latitude: 22.0918476
Frontage: Pasture Subdivision: KAPAA HOMESTEADS
INTERIOR FEATURES
EXTERIOR FEATURES

Septic or Sewer: Septic

Water: Municipal
Has a Pool: No
Zoning: A Lot Size in Sq. Ft: 952657
Is Oceanfront Parcel: No Road Description: County
Fencing: None
Lot Description: Other (remarks),Wooded
Topography: Rolling Terrain
Security: Mountain,Ocean
FEATURES

Power: None
Additional Information

Tax Key: 4460120170000

Property Type: LOTS/LAND
Taxes: 393.53
Release Date: 28-08-2023 Land Tenure: Fee Simple
$ 3,151 per month
30 Year Fixed. 3.525% Interest Rate.
Principal + Interest: $
Monthly Tax: $
Monthly Insurance: $ 157

yrs


%


$


$

Based on a fully amortized fixed rate loan. Ask your agent for the tax rates in your area. Insurance estimate is based on an average cost, your final premium cost will be determined by the type of coverage you select. This program only provides an estimate.

Listed by: RE/MAX Kauai - Princeville Office

Seller’s Representative:

Kohanaiki Realty LLC © 2023 Hawaii Information Service. All rights reserved. © 2023 MLS Hawaii, Inc. All rights reserved.

Provided Courtesy of Hawaii Information Service. In this page not only will you see properties represented by Kohala Coast Properties, but also properties represented by other members of Hawaii Information Service. This information has been supplied by third parties and has not been independently verified by Hawaii Information Service and is, therefore, not guaranteed. IDX information is provided exclusively for consumers’ personal, non-commercial use and may not be used for any purpose other than to identify prospective properties consumers may be interested in purchasing. Data is updated approximately every two hours. The last update time is shown below.

HIS data last updated at January 30, 2026 9:10 AM HAST

Schedule Showing

Preferred Time and Date*

Alternative Time and Date*

Time(Required)
:
MM slash DD slash YYYY
Alternative Time(Required)
:
MM slash DD slash YYYY
*Your name, phone number, and email address are required so that we may contact you to schedule an appointment. By submitting this form with your telephone number you are consenting for Kohala Coast Properties and authorized representatives to contact you even if your name is on the Federal "Do-not-call List."
This field is hidden when viewing the form
This field is hidden when viewing the form

To top
X